| Συνδεθείτε στην Υπηρεσία Νομοσκόπιο | | | | | Νέοι χρήστες | | Εάν είστε νέος χρήστης, θα πρέπει να δημιουργήσετε ένα ΔΩΡΕΑΝ λογαριασμό προκειμένου να φύγει το παράθυρο αυτό και να αποκτήσετε πλήρη πρόσβαση στην υπηρεσία Νομοσκόπιο. | | Δημιουργία νέου λογαριασμού | | |
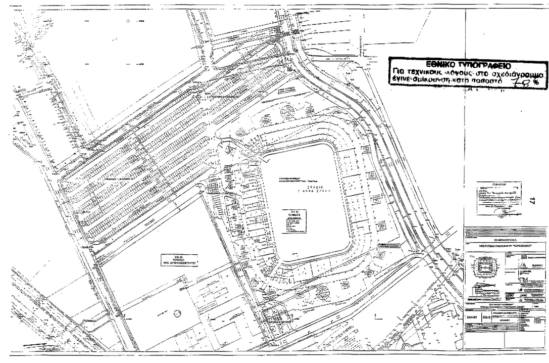
1. α) Εγκρίνεται η τροποποίηση του εγκεκριμένου ρυμοτομικού σχεδίου Νότιου Φαλήρου (Πειραιώς) στο χώρο του σταδίου Γεωργίου Καραϊσκάκη με τη μετατόπιση ρυμοτομικών και οικοδομικών γραμμών, όπως φαίνεται στο σχετικό πρωτότυπο διάγραμμα σε κλίμακα 1:500, που θεωρήθηκε από τον Προϊστάμενο Διεύθυνσης Τοπογραφικών Εφαρμογών του Υπουργείου Περιβάλλοντος, Χωροταξίας και Δημόσιων Έργων και του οποίου το αντίτυπο σε φωτοσμίκρυνση δημοσιεύεται με το νόμο αυτόν στην Εφημερίδα της Κυβερνήσεως.

β) Τροποποιείται το περίγραμμα των κτιριακών εγκαταστάσεων του σταδίου όπως φαίνεται στο παραπάνω διάγραμμα.
ΣΗΜΕΙΩΣΗ: Η παράγραφος 1 τίθεται όπως αντικαταστάθηκε με την παράγραφο 1 του άρθρου 46 του νόμου 3130/2003 (ΦΕΚ 76/Α/2003).
|
2. Για την επέκταση και τον εκσυγχρονισμό των εγκαταστάσεων του Σταδίου Καραϊσκάκη, εν όψει των Ολυμπιακών Αγώνων του 2004, καθορίζονται οι ακόλουθοι ειδικοί όροι και περιορισμοί δόμησης:
α) ανώτατο ύψος κτιρίου: 27 m,
β) ανώτατο ύψος απολήξεων κλιμακοστασίου: 2,70 m (πέραν του ανώτατου επιτρεπόμενου ύψους κτιρίου της περιπτώσεως α'),
γ) ανώτατο ύψος μεταλλικών στεγάστρων: 35 m,
δ) μέγιστο επιτρεπόμενο ύψος πυλώνων ανάρτησης μεταλλικών στεγάστρων: 40 m,
ε) ανώτατος συντελεστής δόμησης: 0,9,
στ) ανώτατο ποσοστό κάλυψης: 60%.
3. Στις εγκαταστάσεις του σταδίου αυτού, πλην των κυρίως αθλητικών χρήσεων, επιτρέπεται και η χωροθέτηση των ακόλουθων συμπληρωματικών λειτουργιών: Καταστημάτων αθλητικών ειδών, αιθουσών πολλαπλών αθλητικών χρήσεων, εντευκτηρίων, γραφείων, εστιατορίων, αναψυκτηρίων και μικτών καταστημάτων τροφίμων (αιθουσών εξυπηρέτησης τύπου και μέσων μαζικής ενημέρωσης). Ο ανώτατος συντελεστής δόμησης των ανωτέρω χρήσεων δεν επιτρέπεται να υπερβαίνει το 10% του ανώτατου συντελεστή δόμησης που καθορίζεται στην περίπτωση ε' της παραγράφου 2 του παρόντος άρθρου.
Το ωράριο λειτουργίας των συμπληρωματικών εγκαταστάσεων και χρήσεων που προβλέπονται στον παρόντα νόμο καθορίζεται ελεύθερα χωρίς χρονικούς περιορισμούς και σε κάθε περίπτωση ακολουθεί τις ώρες λειτουργίας των αθλητικών εγκαταστάσεων.
4. α. Η περίπτωση β' της παραγράφου Γ της υπ' αριθμόν 14969/472/1988 απόφασης του Υπουργού Περιβάλλοντος, Χωροταξίας και Δημόσιων Έργων (ΦΕΚ 198/Δ/1988) καταργείται και οι επόμενες περιπτώσεις γ' και δ' αναριθμούνται ως β' και γ' αντίστοιχα. Το διάγραμμα, που συνοδεύει την απόφαση αυτή, αντικαθίσταται με νέο διάγραμμα κλίμακας 1:5.000 που έχει θεωρηθεί από τον Προϊστάμενο της Διεύθυνσης Τοπογραφικών Εφαρμογών του Υπουργείου Περιβάλλοντος, Χωροταξίας και Δημόσιων Έργων, στο οποίο απεικονίζεται και η ανωτέρω ρύθμιση και του οποίου αντίτυπο σε φωτοσμίκρυνση δημοσιεύεται με το νόμο αυτόν στην Εφημερίδα της Κυβερνήσεως.

β. Η περίπτωση (Ι) του εδαφίου δ' της παραγράφου 3 του άρθρου 3 του νόμου 2601/1998 αντικαθίσταται ως εξής:
{(Ι). Η ανέγερση κτιριακών εγκαταστάσεων επί οικοπέδου που δεν ανήκει στο φορέα της επένδυσης, εφόσον έχει παραχωρηθεί προς τούτο η χρήση του για χρονικό διάστημα τουλάχιστον 15 ετών από το Δημόσιο, τον Ελληνικό Οργανισμό Τουρισμού, τις Βιομηχανικές Περιοχές ΕΤΒΑ, συμπεριλαμβανομένων και αυτών που έχουν καθεστώς ελεύθερης ζώνης, λοιπές Βιομηχανικές Περιοχές, Βιομηχανικές και Επιχειρηματικές Περιοχές και Βιοτεχνικά Πάρκα, την Ελληνική Ολυμπιακή Επιτροπή, οργανισμούς τοπικής ή νομαρχιακής αυτοδιοίκησης, μη κερδοσκοπικά σωματεία ή ιδρύματα, καθώς και από τεχνολογικά πάρκα προκειμένου για ανέγερση ή επέκταση κτιρίων εντός τεχνολογικών πάρκων.}
5. Η οικοδομική άδεια για το στάδιο αυτό χορηγείται από τη Γενική Γραμματεία Αθλητισμού σύμφωνα με όσα ορίζονται στις περιπτώσεις β', γ' και δ' της παραγράφου 2 του άρθρου 5 του νόμου 2730/1999, όπως τροποποιείται με τον παρόντα νόμο.
6. Οι εγκαταστάσεις του Σταδίου Καραϊσκάκη θα παραχωρηθούν, άνευ ανταλλάγματος, στην Οργανωτική Επιτροπή Ολυμπιακών Αγώνων - Αθήνα 2004 Ανώνυμη Εταιρεία, για τις ανάγκες της διεξαγωγής των Ολυμπιακών Αγώνων του 2004.